Vinícola da Áustria - por Reinaldo Selhorst

Vinícola da Áustria - por Reinaldo Selhorst

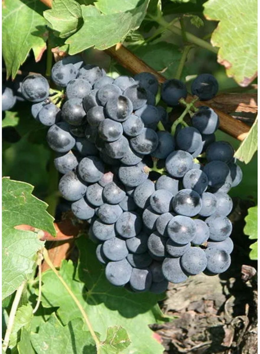
Foto: Divulgação

Receba todas as notícias gratuitamente no WhatsApp do Rondoniaovivo.com.​

  • Reação
  • Reação
  • Reação
  • Reação
  • Reação
  • Reação
0 pessoas reagiram a isso.
 
Com seu labirinto de adegas de 300 anos, seu castelo barroco e sua localização em uma das paisagens culturais europeias mais antigas, Domane Wachau é visita obrigatória para os enófilos. No ano de 2020, a vinícola da Áustria foi classificada como a terceira melhor do mundo e a número um da Europa no WORLD Best de alta qualidade contribuem significativamente para que ela esteja no topo do enoturismo.
 
 
 
Patrimônio mundial pela Unesco
 
 
Wachau é uma região montanhosa atravessada pelo Vale do rio Danúbio. Possui aproximadamente 30 quilômetros de extensão entre as cidades de Melk e Krems, no estado da Baixa Áustria, a 80 quilômetros de Viena. É um dos principais destinos turísticos austríacos, sendo reconhecido como Patrimônio Mundial pela Unesco(Organização das Nações Unidas para a Educação, a Ciência e a Cultura).
 
 
A história do vinho na Áustria
 
 
Áustria é um país com uma das culturas mais antigas da Europa Central, apesar da sua viticultura ser um tanto quanto desconhecida, O país vem experimentando uma revolução vinícola, melhorando seus vinhos e alcançando excelentes níveis de qualidade, deixando para trás os vinhos de qualidade duvidosa dos anos 80. A história da viticultura vem desde a época do Império Romano. Porém só após o final da Primeira Guerra Mundial que houve um considerável desenvolvimento da produção de vinho na Áustria.
 
Direito ao esquecimento

Os comentários são responsabilidades de seus autores via perfil do Facebook. Não reflete necessariamente a opinião do Rondoniaovivo.com
Você acha que o Brasil vai ser hexa nesta Copa do Mundo?

* O resultado da enquete não tem caráter científico, é apenas uma pesquisa de opinião pública!

MAIS NOTÍCIAS

Por Editoria

CLASSIFICADOS veja mais

EMPREGOS

PUBLICAÇÕES LEGAIS

DESTAQUES EMPRESARIAIS

EVENTOS